
国府2丁目 売地 詳細
物件画像を詳しく見る

国府2丁目売地!
物件概要
前面道路が広い~♪
-
物件コード
00200-200046
-
物件名
国府2丁目 売地
-
交通
駅:妙高はねうまライン 春日山駅から徒歩32分、バス:国府新町から徒歩11分
-
所在地
新潟県上越市国府2丁目
物件へのルート表示
-
物件種別
売土地・分譲地
-
構造
-
-
階建
-
-
建ぺい率/容積率
60%/200%
-
建物面積
-
-
土地面積
198㎡
/59.89坪
-
築年月
-
-
入居時期
即入居可
-
用途地域
第1種中高層住居専用地域
-
地目
畑 (現状:宅地)
-
都市計画
市街化区域
-
形状
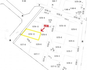
間口 10.63m × 奥行 20m
-
道路
西側:幅員7.8m/歩道2.1m
物件詳細情報
-
所在階/階数
-
-
号室
-
-
販売価格
3,500,000円
-
方位
-
-
間取り
-
-
専有面積
-
-
バルコニー面積
-
-
その他面積
-
-
駐車場
-
-
管理費
-
-
修繕積立金
-
-
引渡
即時
-
現況
-
仲介手数料
330,000円
-
契約印紙代
1,000円
-
おすすめ条件
-
-
学校区
国府小学校(1,767m)・直江津中学校(2,462m)
-
設備
整形地、前道6m以上、更地、閑静な住宅街、建築条件なし、所有権、即引き渡し可、側溝、都市ガス(前面道路)、上水道(前面道路)、下水道(前面道路)、電気、住宅向け
-
取引態様
一般
-
情報登録日
2025/01/08
-
次回更新予定日
2026/05/06
備考
・建築条件なし
・宅地内にガス・水道・下水道引き込みなし(下水道受益者負担金/完納済み)
・地目が(畑)農地転用許可申請(第5条)は売主にて負担します。
・乗入れ申請及び、乗入れ工事費用がかかります。
・前面道路:除雪路線
・その他費用 契約印紙代、所有権移転費用、仲介手数料等がかかります。
取扱い会社
株式会社 お不動さん
-
TEL
025-520-8197
-
所在地
上越市中央一丁目12番36号
-
交通
直江津駅
-
営業時間
8:30~17:30/定休日:日曜・祝日・第2土曜日・第4土曜日
-
免許番号
新潟県知事(2)第5449号
-
所属団体名
公社 新潟県宅地建物取引協会 上越支部
-
取引態様
一般
Copyright (C) 株式会社 コモンライフ・コーポレーション. All Rights Reserved.
不動産検索サイト「らくすむ」及び関連サイトに記載の不動産情報は、会員規約に則り、情報提供会社様の責任のもとに発信されております。
不動産の賃借、購入に関しては賃借者、購入者ご自身が情報を確認され、会社企業様から説明を受けられたうえで判断をお願いいたします。
不動産検索サイト「らくすむ」及び関連サイトに記載の不動産情報、写真、デザイン、コンテンツなどの無断転載・転用・複製など禁止します。